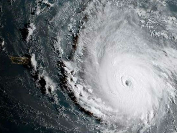
బంగాళాఖాతంలో వాయుగుండం: 24 గంటల్లో తీవ్ర వాయుగుండంగా మారే అవకాశం
అమరావతి: బంగాళాఖాతంలో వాయుగుండం ఏర్పడిందని ప్రకృతి విపత్తుల శాఖ తెలిపింది. కళింగపట్నానికి 690 కిలోమీటర్లు, గోపాలపూర్కు 720 కిలోమీటర్లు దూరంలో ఈ వాయుగుండం ఏర్పడిందని విపత్తుల శాఖ అధికారులు తెలిపారు.
మరో 24 గంటల్లో వాయుగుండం బలపడి తీవ్రవాయుగుండంగా మారే అవకాశం ఉందని, 48 గంటల్లో తీవ్రవాయుగుండం బలపడి తుపానుగా మారే అవకాశం ఉందని అధికారులు అంచనా వేస్తున్నారు. దీని ప్రభావంతో రేపు, ఎల్లుండి ఉత్తరకోస్తాలో అక్కడక్కడా భారీవర్షాలు పడుతాయని, తీరం వెంబడి గంటకు 65 కిలోమీటర్ల వేగంతో ఈదురుగాలులు వీచే అవకాశం ఉందని అధికారులు వెల్లడించారు. ఇదిలా వుంటే మరోవైపు అరేబియా సముద్రంలోనూ అల్పపీడనం ఏర్పడినట్లు తెలిసింది.

వాయుగుండం...బలపడే అవకాశం
ఇటు బంగాళాఖాతంతో పాటు అటు అరేబియా సముద్రంలోనూ ఏకకాలంలో ఏర్పడిన రెండు వేర్వేరు అల్పపీడనాలు దక్షిణాదికి ముప్పుగా పరిణమించే అవకాశాలు కనిపిస్తున్నాయి. ఆగ్నేయ బంగాళాఖాతంలో అండమాన్ దీవులకు తూర్పు దిక్కుగా ఏర్పడిన అల్పపీడనం రానున్న 36 గంటల్లో వాయుగుండంగా మారే అవకాశం ఉన్నదని భారత వాతావరణ శాఖ ఇప్పటికే ప్రకటించింది.

అధికారులు...అప్రమప్తం
బంగాళాఖాతంలో ఏర్పడిన అల్పపీడనం వాయుగుండంగా మారి రానున్న 72 గంటల్లో ఒడిశా తీరం దిశగా కదులుతున్నది. దీని ప్రభావంతో రానున్న 24 గంటల్లో ఉత్తర కోస్తాతో పాటు తెలంగాణలోని పలు ప్రాంతాల్లో తేలికపాటి నుంచి ఓ మోస్తరు వర్షాలు పడే అవకాశం ఉందని వాతావరణ కేంద్రం ప్రకటించింది. మత్స్యకారులను వేటకు వెళ్ళరాదని అధికారులు హెచ్చరికలు జారీ చేశారు. ఉత్తరాంధ్ర జిల్లాల యంత్రాంగాన్ని విపత్తుల శాఖ అప్రమత్తం చేసింది.

తమిళనాడుకు...హెచ్చరికలు
అలాగే తమిళనాడులోని కడలూరు, తూత్తుకుడి ప్రాంతాలవద్ద తీరం దాటే అవకాశం ఉందని, దీంతో రాష్ట్రంలో భారీ వర్షాలు కురిసే అవకాశాలు ఎక్కువగా ఉన్నాయని రాష్ట్ర వాతావరణ శాఖ హెచ్చరికలు జారీ చేసింది. ఇదిలావుండగా కడలూరు, తూత్తుకుడి ఓడరేవుల్లో రెండవ నెంబరు ప్రమాద హెచ్చరికలను జారీ చేసినట్లు అధికారులు తెలిపారు.

కేరళకు...మళ్లీ గండం
మరోవైపు ఆగ్నేయ, తూర్పు మధ్య అరేబియా సముద్రంలో ఏర్పడిన మరో వాయు గుండం తుఫానుగా మారే అవకాశం ఉంది. అరేబియా సముద్రంలో ఏర్పడిన అల్పపీడనం తుఫానుగా మారే అవకాశం ఉన్నందున రానున్న 48 గంటల్లో కేరళకు భారీ ముప్పు ఏర్పడవచ్చని ఐఎండీ అంచనా వేస్తోంది.
-
పిడుగులు, భారీ వర్షాలు - ఏపీలో ఈ జిల్లాలకు తాజా హెచ్చరిక..!! -
ఉరుములు, పిడుగులతో భారీ వర్షాలు.. ఐఎండీ హెచ్చరికలు జారీ.. -
పాతాళానికి బంగారం ధరలు- రంజాన్ పండగ వేళ -
తమిళనాడులో ఆ పార్టీదే అధికారం: విజయ్ రాకతో మారిన ఈక్వేషన్లు -
పల్నాడు, సింహాద్రి ప్రయాణీకులకు రైల్వే గుడ్ న్యూస్, ఇక నుంచి..!! -
3000 ఏళ్ల సంప్రదాయం.. యుద్ధం మధ్యే నూతన సంవత్సరం -
విడాకులపై మెగా డాటర్ "నిహారిక" కామెంట్స్.. అసలు కాంటాక్ట్ కూడా లేదు ?? -
40 ఏళ్లలో లేని అతిపెద్ద పసిడి పతనం. 1983 సీన్ రిపీట్! -
ఏప్రిల్ నెలలో సింహరాశి, కన్యారాశి జాతక ఫలం -
'దురంధర్ 2' ఓ చెత్త సినిమా: స్టార్ హీరోయిన్ -
రేషన్ లబ్దిదారులకు కేంద్రం గుడ్ న్యూస్- మూడు నెలల కోటా ఒకేసారి పంపిణీ -
కొత్త పెన్షన్లు, మహిళలకు కొత్త వరాలు - రైతు భరోసా ఇక నుంచి..!!












Click it and Unblock the Notifications